Compra Agrícola en Tarazona

Terreno en venta en Tarazona, Término de baquera

-
4
1
-

Descripción

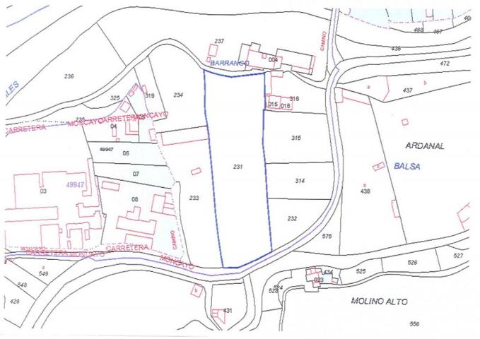
T-04581-PS. Se vende finca rústica de 7.541 m2 en Término Baquera SE ESCUCHAN OFERTAS. Visítanos en Todopisos.

traducir

Trovimap ID: 382244-39338295
Ref. Agencia: AHG-T-04581-PS

Características

Tipo

Agrícola

Planta

-

Año de construcción

2000

Certificado energético

-

Características interiores

  • Mascotas:
    No Se Permiten Mascotas

Popularidad

Última actualización

10 mar. 2026

Días en el mercado

139

Visitas

-

Compara y solicita la mejor hipoteca

¿Cual es el valor de tu inmueble?

Escribe tu dirección. Obtén al instante tu valoración GRATUITA